Kolik má váš Focus najeto?
- panther7
- Test driver

- Příspěvky: 2265
- Registrován: 15.04.2008 20:50
- Bydliště: PRAHA
Re: Kolik má váš Focus najeto?
za 2 měsíce cca 7400km - což docela jde.

- tino3
- Nováček

- Příspěvky: 115
- Registrován: 20.07.2008 22:13
- Bydliště: Handlová
- Kontaktovat uživatele:
Re: Kolik má váš Focus najeto?
Dnes som stihol foto
Bola rovinka,tak sa dalo v pohode odfotit. 
Naposledy upravil(a) tino3 dne 01.09.2008 21:28, celkem upraveno 1 x.
- panther7
- Test driver

- Příspěvky: 2265
- Registrován: 15.04.2008 20:50
- Bydliště: PRAHA
Re: Kolik má váš Focus najeto?
Tak to máš pěkně najeto a ještě lépe foceno-já to říkám stále, že Fofáci jsou šikovní

- mrvo
- Nováček

- Příspěvky: 81
- Registrován: 02.02.2008 03:18
- Bydliště: Vráble
Re: Kolik má váš Focus najeto?
Tak moj Focus už má 192tKm.....
- patcha
- Nováček

- Příspěvky: 70
- Registrován: 08.03.2008 19:15
- Bydliště: CHRUDIM
- Kontaktovat uživatele:
Re: Kolik má váš Focus najeto?
Tak ja jsem na tom takhle... Koupeno 03/2008 (125800km)Pochopitelne hodnote prilis neverim, byl to dovoz pres dve osoby
Jinak mam za sebou rozvody, vyfuk (stredni a zadni dil) taky vodni pumpu (zbytecne-problem byl asi jinde)
-
kako
- Nováček

- Příspěvky: 84
- Registrován: 05.09.2008 19:35
- Bydliště: Revuca
Re: Kolik má váš Focus najeto?
Mám ho asi 1 mesiac. R.v. 11.2005, na tachometri 97 000km, v skutočnosti asi 150 - 160 tis. km. Overili sme v Rakúsku. Tušil som, že má ztočené km, auto som nevátil, páči sa mi. Je combi, strieborný, cena 280 tis.sk. Zadné tlmiče trebalo menit. Motor je tichý, ťahá dobre. Mal som dilemu, či som nemal kúpiť nové, niečo menšie.
Fofo 2, combi, strieborny, 1.6 TDCI 66 kw, r.v. 05
- Palec4
- Test driver

- Příspěvky: 2057
- Registrován: 03.05.2008 23:20
- Bydliště: Svk-Sereď
- Kontaktovat uživatele:
Re: Kolik má váš Focus najeto?
no tak moj ma 126 000, tiez dovoz ale predavajuci sa mi zarucil ze su origo,ale tak kto vie,stav moze zodpovedat.
- Skubi
- Test driver

- Příspěvky: 11856
- Registrován: 02.02.2008 03:18
- Bydliště: Přerov
- Kontaktovat uživatele:
Re: Kolik má váš Focus najeto?
tak při odjezdu z Focusic 
FF kombi 1,6 74 kW sériová GHIASOC, 00/01, modrá metlaSkubi´s family car

Smyk nelze dostat jako chřipku, ten si prostě zaviníme sami !!!

Smyk nelze dostat jako chřipku, ten si prostě zaviníme sami !!!
- Mattys
- Junior

- Příspěvky: 335
- Registrován: 02.02.2008 03:18
- Bydliště: Vrbno pod Pradědem
Re: Kolik má váš Focus najeto?
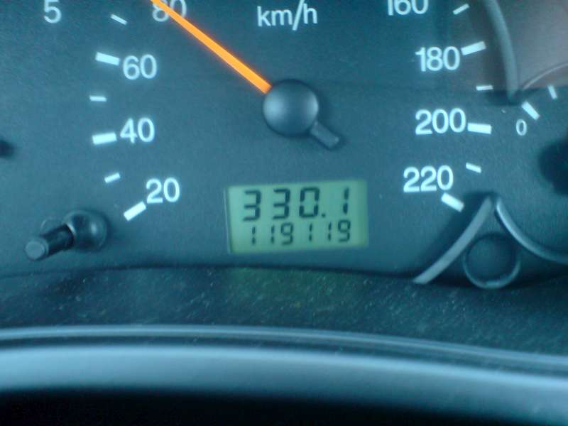
Tak moje dnešní foto

NEW 11.11.2014:Ford Mondeo MK4 2010, 2,0TDCi
OLD:FORD FOCUS COMBI 1,6 ZETEC SE 74KW 16V rv.6/1999 BLACK METAL
Galérka https://forum.ford-focus.cz/viewtopic.php?f=96&t=4800
OLD:FORD FOCUS COMBI 1,6 ZETEC SE 74KW 16V rv.6/1999 BLACK METAL
Galérka https://forum.ford-focus.cz/viewtopic.php?f=96&t=4800- Loeb
- Nováček

- Příspěvky: 111
- Registrován: 02.02.2008 03:18
- Bydliště: Brandýsek
- Kontaktovat uživatele:
Re: Kolik má váš Focus najeto?
Kua já mám 172 tis a nějaký drobný...
Ford Focus combi 1.8 TDDi 66kw r.v. 2000 bílá
- pbjun
- Test driver

- Příspěvky: 5869
- Registrován: 02.02.2008 03:18
Re: Kolik má váš Focus najeto?
Tak to jsme na tom stejne
Dneska se to pretocilo na 172 tis... Jinak zacinam pomalu nakupovat dily na velkou opravu pri 200tis ktera se kvapem blizi - stabiky, tlumice, zadni brzdy, rozvody, zdvihatka ventilu, veskere tesneni a gufera... Tot asi vse, cca 30tis...
-
chmelko
- Test driver

- Příspěvky: 9134
- Registrován: 02.02.2008 03:18
- Bydliště: Jablonec nad Nisou
Re: Kolik má váš Focus najeto?
rozvody pri 200tis...kedy si ich nechal menit po prvykrat?
- pbjun
- Test driver

- Příspěvky: 5869
- Registrován: 02.02.2008 03:18
Re: Kolik má váš Focus najeto?
Pri 135 tis a rikali ze 70tis na vymenu - 200 tis je o 5 tis driv 
-
chmelko
- Test driver

- Příspěvky: 9134
- Registrován: 02.02.2008 03:18
- Bydliště: Jablonec nad Nisou
Re: Kolik má váš Focus najeto?
tak o tom pocujem poprvykrat...pocujte chlapci co to mate za servisy?

- mirin
- Zkušený

- Příspěvky: 1101
- Registrován: 02.02.2008 03:18
- Bydliště: Olomouc
Re: Kolik má váš Focus najeto?
V sobotu :
Kdo je online
Uživatelé prohlížející si toto fórum: Žádní registrovaní uživatelé a 0 hostů







